Por Juan Carlos Calzadilla
Ingeniero
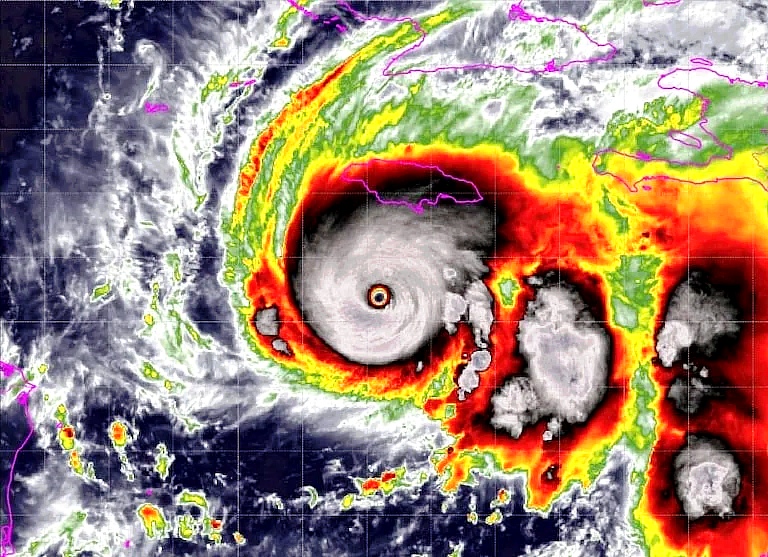
Las noticias sobre el gigantesco y devastador huracán Melissa, que golpeó con fuerza al Caribe, acapara el interés mundial. Meteorólogos y representantes de los organismos de Protección Civil de la región han advertido la necesidad de perfeccionar los niveles de preparación regional ante las catástrofes.
La temporada de huracanes del Atlántico de 2025 es un evento de impacto en el ciclo anual sobre la formación de ciclones tropicales. La temporada inició oficialmente el 1 de junio y finalizará el 30 de noviembre de 202, en medio de evaluaciones ambientales de los científicos.
Inicialmente, el huracán Melissa estuvo por debajo de la mayoría de los fenómenos que se forman en el Caribe cada año. Sin embargo, la madre naturaleza, exacerbada por el Cambio Climático, trajo un evento diferente, que se inició lentamente, con pronósticos meteorológicos reservados.
De hecho, la velocidad del viento en momentos críticos estuvo determinada por una multiplicidad de factores, en los que se combinaron corrientes de aire frío del Norte, con corrientes de aire de Sur, lo que hizo que su desplazamiento en amplias áreas del Caribe fuese muy atípico.
La conjunción de factores provocó la formación de un fenómeno poco visto, hasta alcanzar velocidades de viento de hasta 295 km/hora, de clasificación 5, con trayectoria muy irregular. El huracán se dirigió con potencial destructivo hacia Jamaica y Cuba, dos países hermanos con infraestructura muy básica y con grandes problemas para la gestión de riesgo.
A su paso sobre el mar, Melissa provocó destrucción, muerte y la frustración de las poblaciones afectadas, e hizo resurgir en el ámbito mediático la pregunta ¿para qué sirven las Cumbres Climáticas organizadas por Naciones Unidas (ONU).
Las Cumbres Climáticas, conocidas como Conferencias de las Partes (COP), son reuniones anuales organizadas por la ONU, en las que los países se unen para discutir y tomar decisiones sobre el Cambio Climático. Su objetivo principal es implementar los acuerdos de la Convención Marco de la ONU sobre el Cambio Climático, limitando las emisiones de gases de efecto invernadero y estableciendo nuevas metas para frenar el calentamiento global.
En esas Cumbres, los líderes políticos, científicos y representantes de organizaciones sociales negocian acuerdos, evalúan el progreso y definen estrategias futuras. Hasta el día de hoy, ningún convenio ha tenido sentido vinculante. Los acuerdos suscritos han sido convertidos en letra muerte, ya que el mundo desarrollado ha incumplido el contenido de las resoluciones finales emanadas de los eventos regionales e internacionales.
Ante esa dura realidad, países como Jamaica y Cuba quedan indefensos y convertidos en víctimas de potencias industrializadas que firman documentos que, en la práctica, serán incumplidos. Por ello, es oportuno hacer un llamado a los dirigentes ambientalistas y políticos, y reclamar la atención sobre ese hecho brutal de injusticia climática.
Asimismo, hay que redoblar los esfuerzos de solidaridad humana con Jamaica y Cuba, que son resilientes y vuelven a ponerse de pie ante las calamidades, los estragos causados y las cuantiosas pérdidas materiales que demandan una intensiva y efectiva reconstrucción.
Sin duda alguna, la magnitud, frecuencia y complejidad de los desastres en la región caribeña han puesto en evidencia la necesidad de fortalecer los planes de adaptación y el aumento de las capacidades de países hermanos ante la ocurrencia de devastadores fenómenos y la importancia de corregir debilidades en la esfera de la Protección Civil y la estructura de socorro y rescate.




